Welcome to Central Maine

Lot 8a Weeks RoadGardiner, ME 04345Price: $20,000

  • Price: $20,000
  • Est. Mortgage of $/month
  • 76 Days on Market
$
$
%
$/month over payments
Federal 30-year interest rate: 6.22% last updated on Dec 11, 2025
* All Figures are estimates. Check with your bank or proposed mortgage company for actual interest rates.
This product uses the FRED® API but is not endorsed or certified by the Federal Reserve Bank of St. Louis.
  • $20,000List Price
  • 16.92Acreage
Pending

Listing Tools

Listed by McAllister Real Estate
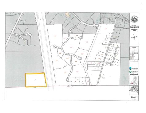
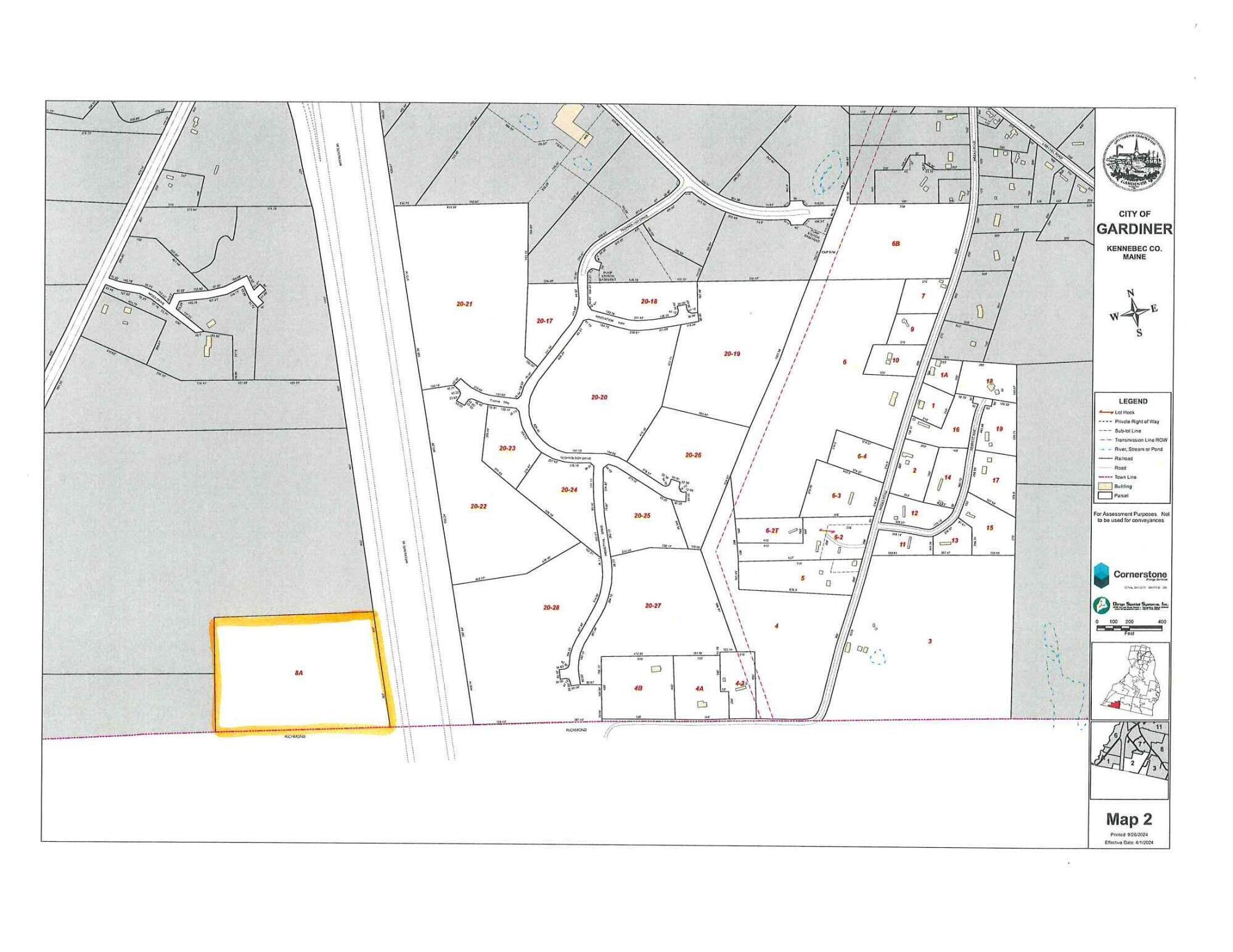
Landlocked and currently has no legal access via public or private roadways. There are no recorded easements, and the property is not accessible for showings or physical inspection. This property has been acquired by the City of Gardiner through tax foreclosure. The City has limited to no information regarding its condition or history.

Property Details of Lot 8a Weeks Road

Property Details

Exterior Features

Map Location

Listing data is derived in whole or in part from the Maine IDX & is for consumers' personal, non commercial use only. Dimensions are approximate and not guaranteed. All data should be independently verified. ©2025 Maine Real Estate Information System, Inc. All Rights Reserved. equal opportunity housing logo   Privacy Policy

Coldwell Banker Plourde Real Estate participates in ©2025 Maine Listings Internet Data Exchange program, allowing us to display other Maine IDX Participants' listings. This website does not display complete listings. Certain listings of other real estate brokerage firms have been excluded. Mortgage figures are estimates. Check with your bank or proposed mortgage company for actual interest rates. This product uses the FRED® API but is not endorsed or certified by the Federal Reserve Bank of St. Louis.

Hi there! How can we help you?

Contact us using the form below or give us a call.

Send Us A Message:

I agree to receive marketing and customer service calls and text messages from Coldwell Banker Plourde Real Estate. To opt out, you can reply 'stop' at any time or click the unsubscribe link in the emails. Consent is not a condition of purchase. Msg/data rates may apply. Msg frequency varies. Privacy Policy.

Do not fill in this field:

This site is protected by reCAPTCHA and the Google Privacy Policy and Terms of Service apply.